六安市正阳110kV变电站规划方案批后公告

浏览次数: 信息来源: 市自然资源局 发布时间:2025-09-26 10:29
字号: 打印 收藏

依据《中华人民共和国城乡规划法》和《关于城乡规划公开公示的规定》等相关规定,现将本方案进行批后公告。

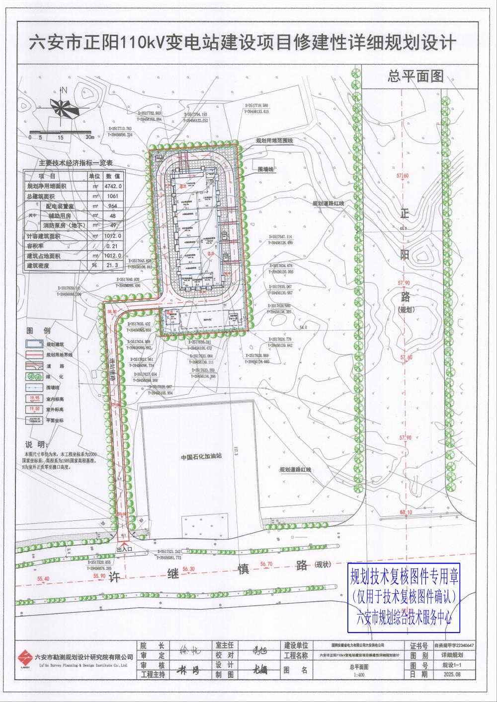
由国网安徽省电力有限公司六安供电公司建设的六安市正阳110kV变电站项目,位于市开发区许继慎路以北、正阳路以西,该项目总建筑面积1061平方米,容积率0.21,建筑密度21.3%。

正阳110千伏变电站.rar

标签:
关联信息